Catching up on Fall
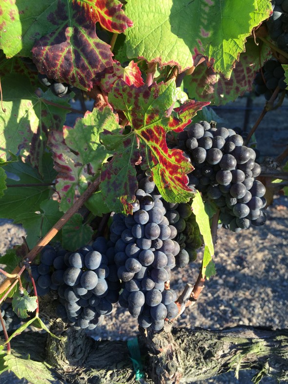
Sunsets, sunflowers, grapes ripe for harvest, and migrating birds are all signs of Fall in Napa Valley.
06 Dec
This entry was written by maggy342 and published on December 6, 2018 at 11:42 pm. It’s filed under Photography.
Bookmark the permalink.
Follow any comments here with the RSS feed for this post.



